8137 McDonald Drive
$300,000
Sherrills Ford, NC, 28673
land
0
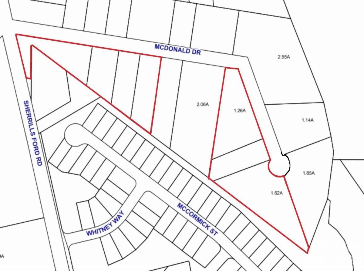
Lot Size: 6.37 Acres
ABOUT
Property Information
7 parcels totaling over 6 acres of land zoned Residential in Catawba County. Conveniently located just 8 miles East of I-77 and 10 miles to Highway 16 in Denver. Located in fast growing area off Highway 150. Property backs up to the Villas at Sherrills Ford new community. Water / Sewer available just down the road. Semi-level and dense topography suitable for small home development. All lots for sale face McDonald Drive that ends with cul-de-sac.
SPECIFICS
Property Details
Price:
$300,000
MLS #:
CAR4063493
Status:
Active
Beds:
0
Baths:
0
Type:
Land
Subtype:
Acreage
Listed Date:
Aug 29, 2023
Lot Size:
277,477 sqft / 6.37 acres (approx)
AMENITIES
Interior
AMENITIES
Exterior
NEIGHBORHOOD
Schools
Elementary School:
Sherrills Ford
Middle School:
Mills Creek
High School:
Bandys
FINANCIAL
Financial
See this Listing
Mortgage Calculator
Similar Listings Nearby
Lorem ipsum dolor sit amet, consectetur adipiscing elit. Aliquam erat urna, scelerisque sed posuere dictum, mattis etarcu.

8137 McDonald Drive
Sherrills Ford, NC










