There are multiple listings for this address:
000 Sardis Road
$600,000
Charlotte, NC, 28270
land
0
Lot Size: 0.5 Acres
ABOUT
Property Information
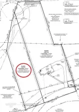
Build your dream home on this rare Near 1/2 acre lot in the heart of Charlotte. Rare opportunity to own a beautiful ~½ acre homesite on Sardis Road in one of Charlotte’s most desirable and established areas. Lot 1 is a private corner lot measuring approximately 90’ x 237’, offering exceptional space, mature landscaping, and a natural tree buffer that provides both beauty and privacy from the road.
**Neighboring Lot is available also to create a massive 1 acre lot***
The lot features a gentle slope, giving buyers the flexibility to design a home with or without a basement depending on their vision. With no HOA and the freedom to bring your own builder, this property offers the rare combination of location, flexibility, and privacy that is increasingly difficult to find in Charlotte.
Ideally situated within walking distance to several of Charlotte’s top private schools, the homesite is surrounded by established neighborhoods and luxury homes.
Whether you’re ready to build now or planning your future dream home, this property provides the perfect canvas. We are happy to help guide buyers through the building process and connect them with respected local builders in the Charlotte area if desired.
Most buyers interested in land want to know three main questions: 1. What is this house going to cost me in total for the land and house? 2.How long does it take to build? 3.How do I finance a new construction home?
1. Knowing what the land and home is going to cost you 'all in' ... "It depends"... It depends on what size house you want, what finish level you want for the house and how elaborate you want the exterior. Depending on what you want, it is reasonable to expect that the all-in home build and land price to start around $1.3M. To more than $3M. A home built right behind this home appraised for just over $3M - Because there is No HOA you can contract with a more production builder and build an extremely well valued home and be on the lower end or if you prefer more of a custom build you can certainly do so and the price can realistically cost $1.7M-$2.3M+
2. Timeline can vary on the complexity of the build. It is safe to expect roughly 9 months on the short end for a more production based builder and more than 16 months if you go more custom.
3. We are more than happy to connect you with a lender who specializes in construction loans and they can discuss all the options they have.
Building on your lot is easier than you may imagine, We are experts in new construction and 'building on your lot' and are more than happy to have a call with you, walk you on the land and show you all the options there are in the market for you to get your dream home in your budget.
**Neighboring Lot is available also to create a massive 1 acre lot***
The lot features a gentle slope, giving buyers the flexibility to design a home with or without a basement depending on their vision. With no HOA and the freedom to bring your own builder, this property offers the rare combination of location, flexibility, and privacy that is increasingly difficult to find in Charlotte.
Ideally situated within walking distance to several of Charlotte’s top private schools, the homesite is surrounded by established neighborhoods and luxury homes.
Whether you’re ready to build now or planning your future dream home, this property provides the perfect canvas. We are happy to help guide buyers through the building process and connect them with respected local builders in the Charlotte area if desired.
Most buyers interested in land want to know three main questions: 1. What is this house going to cost me in total for the land and house? 2.How long does it take to build? 3.How do I finance a new construction home?
1. Knowing what the land and home is going to cost you 'all in' ... "It depends"... It depends on what size house you want, what finish level you want for the house and how elaborate you want the exterior. Depending on what you want, it is reasonable to expect that the all-in home build and land price to start around $1.3M. To more than $3M. A home built right behind this home appraised for just over $3M - Because there is No HOA you can contract with a more production builder and build an extremely well valued home and be on the lower end or if you prefer more of a custom build you can certainly do so and the price can realistically cost $1.7M-$2.3M+
2. Timeline can vary on the complexity of the build. It is safe to expect roughly 9 months on the short end for a more production based builder and more than 16 months if you go more custom.
3. We are more than happy to connect you with a lender who specializes in construction loans and they can discuss all the options they have.
Building on your lot is easier than you may imagine, We are experts in new construction and 'building on your lot' and are more than happy to have a call with you, walk you on the land and show you all the options there are in the market for you to get your dream home in your budget.
SPECIFICS
Property Details
Price:
$600,000
MLS #:
CAR4350327
Status:
Active
Beds:
0
Baths:
0
Type:
Land
Subtype:
Lot
Listed Date:
Mar 13, 2026
Lot Size:
21,780 sqft / 0.50 acres (approx)
AMENITIES
Interior
AMENITIES
Exterior
NEIGHBORHOOD
Schools
Elementary School:
Unspecified
Middle School:
Unspecified
High School:
Unspecified
FINANCIAL
Financial
See this Listing
Mortgage Calculator
Similar Listings Nearby
Lorem ipsum dolor sit amet, consectetur adipiscing elit. Aliquam erat urna, scelerisque sed posuere dictum, mattis etarcu.

000 Sardis Road
Charlotte, NC
000 Sardis Road
$600,000
Charlotte, NC, 28270
land
0
Lot Size: 0.5 Acres
ABOUT
Property Information
Build your dream home on this rare Near 1/2 acre lot in the heart of Charlotte. Rare opportunity to own a beautiful ~½ acre homesite on Sardis Road in one of Charlotte’s most desirable and established areas. Lot 1 is a private corner lot measuring approximately 90’ x 237’, offering exceptional space, mature landscaping, and a natural tree buffer that provides both beauty and privacy from the road.
**Neighboring Lot is available also to create a massive 1 acre lot***
The lot features a gentle slope, giving buyers the flexibility to design a home with or without a basement depending on their vision. With no HOA and the freedom to bring your own builder, this property offers the rare combination of location, flexibility, and privacy that is increasingly difficult to find in Charlotte.
Ideally situated within walking distance to several of Charlotte’s top private schools, the homesite is surrounded by established neighborhoods and luxury homes.
Whether you’re ready to build now or planning your future dream home, this property provides the perfect canvas. We are happy to help guide buyers through the building process and connect them with respected local builders in the Charlotte area if desired.
Most buyers interested in land want to know three main questions: 1. What is this house going to cost me in total for the land and house? 2.How long does it take to build? 3.How do I finance a new construction home?
1. Knowing what the land and home is going to cost you 'all in' ... "It depends"... It depends on what size house you want, what finish level you want for the house and how elaborate you want the exterior. Depending on what you want, it is reasonable to expect that the all-in home build and land price to start around $1.3M. To more than $3M. A home built right behind this home appraised for just over $3M - Because there is No HOA you can contract with a more production builder and build an extremely well valued home and be on the lower end or if you prefer more of a custom build you can certainly do so and the price can realistically cost $1.7M-$2.3M+
2. Timeline can vary on the complexity of the build. It is safe to expect roughly 9 months on the short end for a more production based builder and more than 16 months if you go more custom.
3. We are more than happy to connect you with a lender who specializes in construction loans and they can discuss all the options they have.
Building on your lot is easier than you may imagine, We are experts in new construction and 'building on your lot' and are more than happy to have a call with you, walk you on the land and show you all the options there are in the market for you to get your dream home in your budget.
**Neighboring Lot is available also to create a massive 1 acre lot***
The lot features a gentle slope, giving buyers the flexibility to design a home with or without a basement depending on their vision. With no HOA and the freedom to bring your own builder, this property offers the rare combination of location, flexibility, and privacy that is increasingly difficult to find in Charlotte.
Ideally situated within walking distance to several of Charlotte’s top private schools, the homesite is surrounded by established neighborhoods and luxury homes.
Whether you’re ready to build now or planning your future dream home, this property provides the perfect canvas. We are happy to help guide buyers through the building process and connect them with respected local builders in the Charlotte area if desired.
Most buyers interested in land want to know three main questions: 1. What is this house going to cost me in total for the land and house? 2.How long does it take to build? 3.How do I finance a new construction home?
1. Knowing what the land and home is going to cost you 'all in' ... "It depends"... It depends on what size house you want, what finish level you want for the house and how elaborate you want the exterior. Depending on what you want, it is reasonable to expect that the all-in home build and land price to start around $1.3M. To more than $3M. A home built right behind this home appraised for just over $3M - Because there is No HOA you can contract with a more production builder and build an extremely well valued home and be on the lower end or if you prefer more of a custom build you can certainly do so and the price can realistically cost $1.7M-$2.3M+
2. Timeline can vary on the complexity of the build. It is safe to expect roughly 9 months on the short end for a more production based builder and more than 16 months if you go more custom.
3. We are more than happy to connect you with a lender who specializes in construction loans and they can discuss all the options they have.
Building on your lot is easier than you may imagine, We are experts in new construction and 'building on your lot' and are more than happy to have a call with you, walk you on the land and show you all the options there are in the market for you to get your dream home in your budget.
SPECIFICS
Property Details
Price:
$600,000
MLS #:
CAR4350384
Status:
Active
Beds:
0
Baths:
0
Type:
Land
Subtype:
Lot
Listed Date:
Mar 13, 2026
Lot Size:
21,780 sqft / 0.50 acres (approx)
AMENITIES
Interior
AMENITIES
Exterior
NEIGHBORHOOD
Schools
Elementary School:
Unspecified
Middle School:
Unspecified
High School:
Unspecified
FINANCIAL
Financial
See this Listing
Mortgage Calculator
Similar Listings Nearby
Lorem ipsum dolor sit amet, consectetur adipiscing elit. Aliquam erat urna, scelerisque sed posuere dictum, mattis etarcu.






